New York, New York
"I believe that there is a subtle magnetism in nature, which, if we unconsciously yield to it, will direct us aright." - Henry David Thoreau http://about.me/mceceliabittner
539 words in 4 moments in 3 cities since November 1st, 2013
Patterson — This view is about two-miles from my childhood home. If you turn the camera slightly to the right you see the much less scenic valley in which much of my childhood took place. The valley contains Bre...
Astoria — I run by this view a few times a week. On the long runs, 7, 8, or 9 miles, I let the energy of this wild city fuel me. Fill my core with bright, determined energy. That same energy can isolate you an...
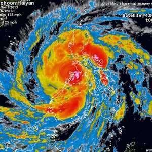
New york — Sitting here on this clear autumn day in New York City, I wonder if it narcissistic that as I read about Typhoon Haiyan I am filled with gratitude and wonder at the life that I have been given?